Text written in Basque and translated automatically by Elia without any subsequent editing. SEE ORIGINAL
New subduction zone in the area of Portugal
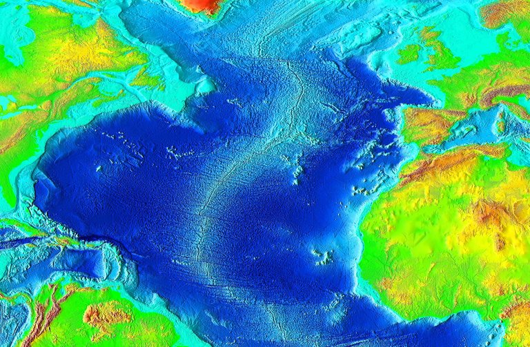
In the Atlantic, in the vicinity of Portugal, the geologists of the University of Monash have detected the first indications that an area that so far has been a passive continental arista begins to be active. As they have published in the journal Geology, this would open a new cycle in which Europe and America are approaching.
In the subduction zones a plate is introduced under the other. In this case, this would mean a decrease in the Atlantic. When analyzing the marine bottom of the southwest of the Iberian plate, the researchers found that the bottom is beginning to break, indicating a tectonic activity. What they have discovered has been described by researcher Joao Duarte as the “embryo of a subduction field” in the percussion note that has opened the University of Monash.
Buletina
Bidali zure helbide elektronikoa eta jaso asteroko buletina zure sarrera-ontzian







